
Another one of my PhD chapters is published in the journal G-cubed, resulting from work I did in the summer of 2016 in Israel and Jordan around the Red Sea. This is my first geochemistry article in a journal, so it is a big deal to me! I thought I’d write up a clamsplainer about what I was looking for and how we went about achieving the paper.

I study the chemistry of giant clam shells. You might already be familiar with the concept of tree rings, a field called dendrochronology. It’s like reading the diary of a tree, where every “ring” is a page in the record of its life. The related field of sclerochronology looks at rings in the hard parts of shelled organisms. We can count those rings to figure out the ages of clams, or their health, and we can measure the chemistry of those rings to understand the temperature the clam grew at, and even what it ate.

Giant clams are bivalves of unusually large size which achieve a very rapid growth rate through the help of symbiotic algae in their flesh. The clams are farmers, and their crop is inside their tissue! They grow their shells very quickly (sometimes up to 5 cm a year, equivalent to if a six foot tall man grew a foot every year from birth), and live a very long time, up to 100 years (their growth slows later in life). A whole bunch of talented researchers have measured the chemistry of giant clams all around the world to reconstruct past climate and even measure historic storms!

But if you come back to the analogy of tree rings, we essentially have measured the rings and chemistry of individual “trees” in a bunch of different places, but don’t have as good an idea of how the chemistry varies within a “forest” of giant clams in a particular place. In our new study, we set out to describe exactly that, focusing on the Northern Red Sea.


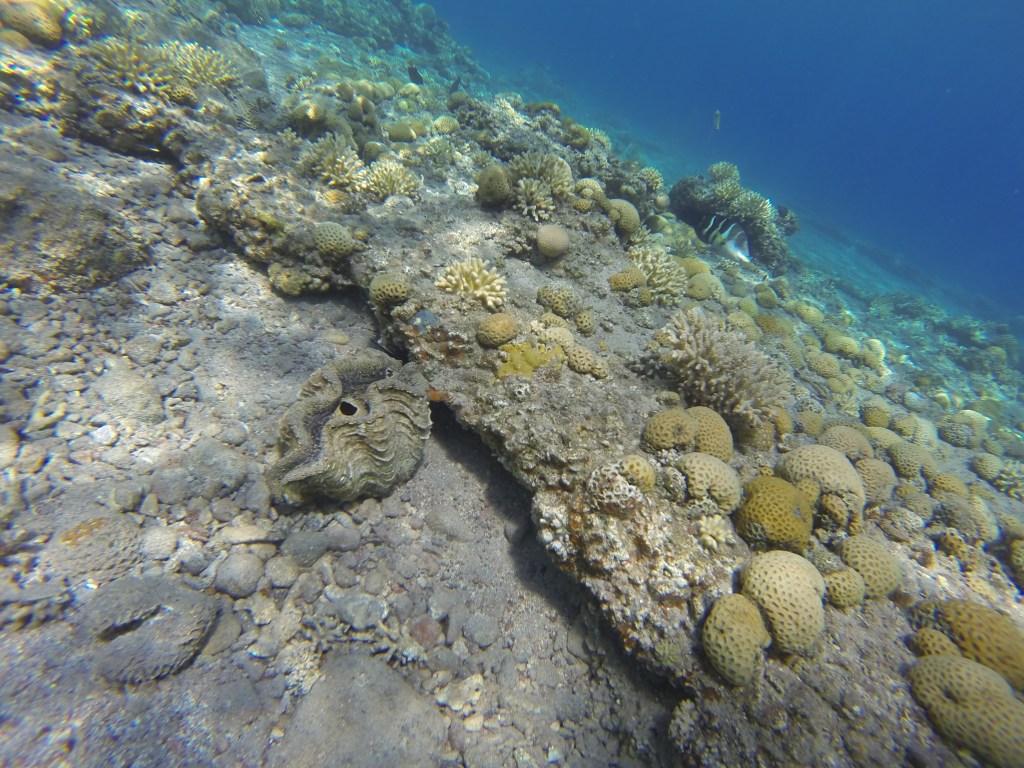
The Gulf of Aqaba represents the northernmost toe of the Red Sea, bordered by Egypt, Israel, Jordan and Saudi Arabia. It hosts some of the northernmost coral reefs in the world, aided by tropical temperatures and clear waters due to the lack of rainfall in the surrounding deserts. Here, we can find three species of giant clams including the small giant clam Tridacna maxima, the fluted giant clam T. squamosa and the very rare T. squamosina, which is found only in the Red Sea and nowhere else (as far as we know). In summer 2016, I went all around the Gulf of Aqaba collecting shells of clams from the beaches, fossil deposits, and even were able to work with shells confiscated from smugglers at the Israel-Egypt border. We cut these shells into slices and used tiny drill bits to sample powder from the cross section of their shells, which we could then conduct geochemistry with! We sampled large areas in bulk from the inner and outer portions of the shell (more on why later) using a Dremel tool, and also sampled more finely in sequential rows with a tiny dental drill bit (same brand your dentist uses!) to see how the measured temperatures varied through seasons. By “we”, I mean my coauthor and friend Ryan Thomas, who spent every Friday morning for several weeks milling out most of the powder we needed for this study. This data became part of his senior thesis at UCSC!


What kind of chemistry did we measure? The shells of clams are made of calcium carbonate, the same stuff Tums is made of. Calcium carbonate contains one calcium atom, one carbon atom, and three oxygen atoms. It turns out that all of those atoms come in “flavors” that we call isotopes, relating to the weight of those atoms. When you take the shell powder and put it into a machine called a mass spectrometer, you can figure out the proportions of isotopes of different elements present in the samples
The first isotope “flavors” we were interested were carbon-12 and carbon-13. The ratio of the two is thought to relate back mostly to the action of the algae inside (its symbionts) and outside the clam’s body (the floating algae the clam filters out of the water as an additional meal). This happens because as algae take carbon from the environment and bind it into sugars through photosynthesis, they naturally weight the dice in favor of carbon-12 making it into the sugars. So carbon-13 is left out in the water, and potentially in the clam’s shell. When photosynthesis is more active, it would leave the shell with proportionally more carbon-13. At least that’s what other researchers have confirmed happens in corals, and suspect happens in clams. In the world of isotope chemistry, this phenomenon is called “fractionation,” when a process causes isotopes to form fractions separated by mass. We wanted to test if that was true for giant clams, and could do so by comparing T. squamosina and T. maxima, which have more active photosynthesis, to the less photosynthetic T. squamosa.

It turns out that the more symbiotic species don’t have more carbon-13 in their shells. We set out several reasons that might be the case, including that the symbionts of these clams are actually more carbon-limited than many researchers might expect. Essentially, the algae lack an excess of carbon atoms to choose from, so they can’t be picky with which isotopes they use to make sugars. Therefore, the fractionation effect weakens and becomes possibly too subtle to manifest in the shell, even in the best-case scenario of three closely related species living the same area. This represents what I’d term a “null result.” We had a hypothesis and we demonstrated that hypothesis was not the case in our data. It was important to publish this result, because other researchers will know not to try the same thing. This means that when we try to search for evidence of symbiotic algae in fossil clams, we will likely need to use other types of chemistry to figure it out. But don’t worry, as finding such a “smoking gun” for algal symbiosis in fossil bivalves is part of my life’s work! I have a few projects in the works looking for exactly that kind of evidence! 😉

But we had additional data we collected in addition to the carbon isotopes which actually turned out to provide some interesting results. This other type of measurement regarded the oxygen isotope ratio of the shells. Previous research has shown that the ratio of oxygen-18 to oxygen-16 in carbonate skeletons directly relates to temperature, a principle that has birthed a field known as paleothermometry. There are thousands of papers which use shells of corals, clams, cephalopods, microbes and more to reconstruct temperatures in ancient times. Giant clams have proven to be effective weather stations going all the way back to the Miocene epoch, millions of years ago! Because they grow so quickly (putting down a new layer every day), live for a long time, and don’t stop growing, they form very complete, high-resolution, and long records of past climate.
But no past studies had ever compared different species of giant clams from the same place. There would be interesting new lessons to draw from such a comparison, including seeing if one species preferred to grow at warmer parts of the reef. As complex, three dimensional structures, there are many remarkably different micro-environments throughout a reef, from the hot, sun-exposed reef flat and crest to the cooler, current-swept, deeper fore-reef. Do any of the species of giant clams show a consistently higher temperature than the others, and what would that mean if they did?

It turns out that the rare T. squamosina, only found in the Red Sea, does record a higher average temperature, almost 3 degrees C higher than the other two species. This is of interest because this species had been proposed by prior researchers to only live on the sun-drenched reef crest, at the shallowest part of the reef. We believe these results corroborate that observation. The previous research on the habitat of T. squamosina was limited to a single study which only was able to find 13 live animals along the coast of the Red Sea. But by independently confirming this life habit, we can ask further questions that may be borne out by further research.

Being restricted to the shallowest waters, is T. squamosina at greater risk of harvesting by humans along the shores of the region than its counterparts? Illegal poaching of giant clams along the Red Sea is believed to be a major stressor on their population size in the area. Could this explain why T. squamosina is so rare today, despite being proposed to have been more common in the past? In addition, being restricted to the top few feet of depth in the water could leave the species more vulnerable than the others to atmospheric warming. As with corals, when giant clams overheat they will “bleach”, expelling their symbiotic algae as a stress response. While the clams can recover, it is sometimes a fatal form of stress that leads to their death.

More research is needed to answer those questions. But the last aspect of this study relates to what is happening inside of the bodies and shells of the clams themselves. Giant clam shells have two layers. The outer layer grows forward away from the hinge, increasing clam’s length. The clam also makes an internal layer, growing inward to thicken the shell and add weight. We can read the growth lines of the clam’s diary within either layer, and different studies have used one or the other to make records of climate change. But very few studies have compared the two layers of the same individual. Do they record the same temperatures? Figuring it out would be important to determine how studies with just the inner layer or outer layer can be compared to each other across time and space.

In our studied clams, it turns out that the outer layer records warmer temperatures on average than the inner one! After ruling out other possible explanations behind this difference (the details are complicated and hard for even shell nerds to wrap our heads around), we settled on the idea that the outside of the clam is indeed warmer on average than the inside! This means that the outer layer, recording temperatures of the outer mantle, is indeed forming at a higher temperature than inside! Why is this?
Unlike us, clams are ectothermic. They generally stay the same temperature as their surrounding environment and don’t use their metabolism to generate internal heat. But that doesn’t mean that the clam doesn’t have hotter and cooler spots in its body. It makes sense that it would be hotter at the outer part of its body, facing the sun, as the solar rays hitting its outer mantle would then radiate out again as heat. The outer mantle is also darker in color than the inner mantle, allowing it to absorb more solar energy, much as you might feel hotter wearing a darker t-shirt in the sun than a white one. Photosynthesis itself produces a warming effect, a phenomenon known as non-photochemical quenching, and so the outer mantle, which contains the vast majority of the symbiotic algae, may be partially warmed by the activity of the symbionts!
More research is needed to confirm if this is true. As of yet, no researcher has ever stuck a temperature probe in multiple parts of a clam to see if the outside of it is indeed warmer than the inside. But until that day, it is interesting to think of how this would influence comparisons of diaries from the inner and outer layers of different bivalves. The effect is on the small side, so it doesn’t really mean one layer or the other should be preferred for future shell-based studies of climate change. But it could be an additional aspect to consider in the future as a way to record temperature differences within the body of an animal, and look into how those differences influence its overall level of stress.

So I hope this long explanation of my paper helps you to have a better idea of the work I did during my PhD thesis. There were other aspects to the paper that are too wonkish to get into here, particularly concerning the correlation we found between carbon and oxygen isotope ratios, but if you have questions or want a copy of the PDF, please message me! I have more clam papers in the pipeline, and my new postdoc at Biosphere 2 involves growing three species of giant clams in a controlled environment, where I hope to answer some of the physiological questions I mentioned above! But until then, stay hinged and happy as a clam (as much is possible in this chaotic time), and take comfort knowing there are colorful bivalves out there all at this very moment, harvesting sunlight for food and growing huge shells.








